0 Anderson Rd, Pegram, Tennessee 37143

TN, Pegram
$339,800
  • Active Status
  • 72 Dayz On Cribz Total Days
  • Land Property Type
  • Mortgage Wizard 3000 Advanced Breakdown
Property Description

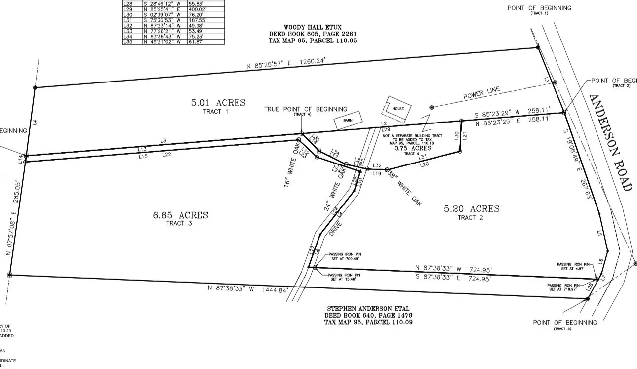
Take a scenic drive down beautiful Anderson Rd, just over the Davidson County line in Cheatham County, and discover this serene 11.85-acre lot. Property has already approved for a 3 bedroom home. Tucked away off a private gravel drive, the property has been partially cleared and is ready for your dream home. With city water and electricity available, it’s a builder’s dream. Enjoy proximity to the Harpeth River, just minutes away, and the convenience of being less than 30 minutes to downtown Nashville. Ideally located near both Davidson and Williamson Counties, with easy access to shopping and dining in Bellevue while soaking in the charm of small-town Pegram living. **APPOINTMENT REQUIRED, PLEASE DO NOT ACCESS PROPERTY WITHOUT APPOINTMENT**

Property Details
  • Property Type: Land
  • Listing Type: For Sale
  • MLS #: 2975211
  • Price: $339,800
  • Lot Area: 11.85 Acre
  • Office Name: Realty Executives Hometown Living
  • Agent Name: Amanda Anderson
  • Listing Status: Active
Location Info
  • Street: Anderson Rd
  • City Pegram
  • State TN
  • Zipcode 37143
  • County Cheatham County, TN
  • Subdivision 11.85 Acres
  • Longitude: W88° 56' 23.8''
  • Latitude: N36° 5' 17.1''
  • Zoning: ag
  • Directions: 40 to Exit 192 - McCrory Ln, North on McCrory Ln, Left on Hwy 70, Left on Thompson Rd, Left on Riverview Rd, Turns into Anderson Rd, use 6372 Anderson Rd - Right into 6372 Driveway, Right at Split, Lot before house
Features
  • Utilities Water Available
  • Sewer Septic Tank
Schools
  • Elementary School: Pegram Elementary Fine Arts Magnet School
  • Middle School: Harpeth Middle School
  • High School: Harpeth High School
Additional Info
  • Water Source: Public
  • Current Use: Other
  • Lot Features: Wooded, Rolling Slope
  • On Market Date: August 16th, 2025
  • Previous Price: $339,800
Financial
  • Annual Tax Amount: $650
Listing Data
  • Mls Status: Active
  • Originating System Name: RealTracs
  • Special Listing Conditions: Standard
  • Modification Timestamp: Oct 5th, 2025 @ 12:33pm
  • Status Change Timestamp: Aug 16th, 2025 @ 1:52pm
mls grid

MLS Source Origin Disclaimer

The data relating to real estate for sale on this website appears in part through an MLS API system, a voluntary cooperative exchange of property listing data between licensed real estate brokerage firms in which Cribz participates, and is provided by local multiple listing services through a licensing agreement. The originating system name of the MLS provider is shown in the listing information on each listing page. Real estate listings held by brokerage firms other than Cribz contain detailed information about them, including the name of the listing brokers. All information is deemed reliable but not guaranteed and should be independently verified. All properties are subject to prior sale, change, or withdrawal. Neither listing broker(s) nor Cribz shall be responsible for any typographical errors, misinformation, or misprints and shall be held totally harmless.

IDX information is provided exclusively for consumers’ personal non-commercial use, may not be used for any purpose other than to identify prospective properties consumers may be interested in purchasing. The data is deemed reliable but is not guaranteed by MLS GRID, and the use of the MLS GRID Data may be subject to an end user license agreement prescribed by the Member Participant’s applicable MLS, if any, and as amended from time to time.

Based on information submitted to the MLS GRID. All data is obtained from various sources and may not have been verified by broker or MLS GRID. Supplied Open House Information is subject to change without notice. All information should be independently reviewed and verified for accuracy. Properties may or may not be listed by the office/agent presenting the information.

The Digital Millennium Copyright Act of 1998, 17 U.S.C. § 512 (the “DMCA”) provides recourse for copyright owners who believe that material appearing on the Internet infringes their rights under U.S. copyright law. If you believe in good faith that any content or material made available in connection with our website or services infringes your copyright, you (or your agent) may send us a notice requesting that the content or material be removed, or access to it blocked. Notices must be sent in writing by email to the contact page of this website.

The DMCA requires that your notice of alleged copyright infringement include the following information: (1) description of the copyrighted work that is the subject of claimed infringement; (2) description of the alleged infringing content and information sufficient to permit us to locate the content; (3) contact information for you, including your address, telephone number, and email address; (4) a statement by you that you have a good faith belief that the content in the manner complained of is not authorized by the copyright owner, or its agent, or by the operation of any law; (5) a statement by you, signed under penalty of perjury, that the information in the notification is accurate and that you have the authority to enforce the copyrights that are claimed to be infringed; and (6) a physical or electronic signature of the copyright owner or a person authorized to act on the copyright owner’s behalf. Failure to include all of the above information may result in the delay of the processing of your complaint.

Back to top