0 Highway 48, Nunnelly, Tennessee 37137

TN, Nunnelly
$125,000
  • Closed Status
  • 357 Days Off Market Sorry Charlie 🙁
  • Land Property Type
  • 5 Acres Lot/Land Size
  • Mortgage Wizard 3000 Advanced Breakdown
Property Description

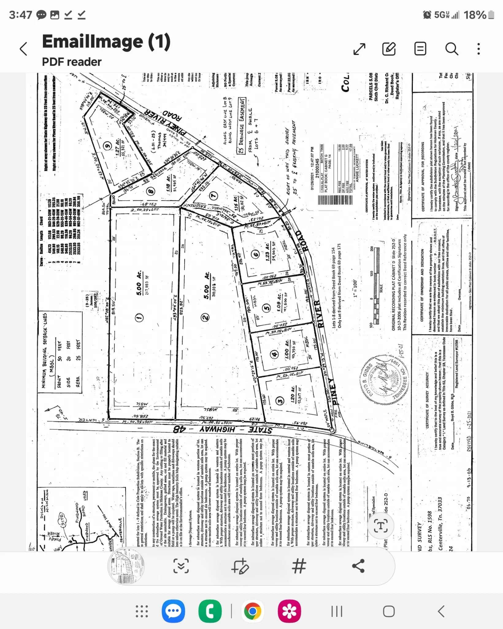
Beautiful 5+- acres in the heart of Nunnelly with the Piney River, resorts, great neighborhood market and community. Beautiful rolling fields waiting for your new home. Area residents enjoy kayaking, canoes or just floating down the river along with camping or glamping at nearby resorts located on the Piney River. Convenient with only 5 miles to Interstate 40. This property can also be purchased with another 5+_acre lot and 1.25+- acre lot listed on MLS # 2745151 See attached Subdivision Plat for perc information. Property has been perc and found suitable for subsurface sewage system

Property Details
  • Property Type: Land
  • Listing Type: For Sale
  • MLS #: 2745115
  • Price: $125,000
  • View: Valley
  • Lot Area: 5 Acre
  • Office Name: Benchmark Realty, LLC
  • Agent Name: Donna McCall
  • Listing Status: Closed
Location Info
  • Street: Highway 48
  • City Nunnelly
  • State TN
  • Zipcode 37137
  • County Hickman County, TN
  • Subdivision Cole Properties Sub B
  • Longitude: W88° 32' 10.6''
  • Latitude: N35° 45' 40''
  • Zoning: Residen
  • Directions: From From I40 W Exit 163 Loves Travel Stop Dickson TN - Take Hwy 48 towards Centerville (S) 5 miles to Property on left just before Piney River Rd. See Signs.Lot 2
Features
  • Utilities Water Available
  • Sewer Private Sewer
Schools
  • Elementary School: Centerville Elementary
  • Middle School: Hickman Co Middle School
  • High School: Hickman Co Sr High School
Additional Info
  • Water Source: Public
  • Current Use: Residential
  • Lot Features: Level
  • On Market Date: October 15th, 2024
  • Previous Price: $125,000
Financial
  • Annual Tax Amount: $183
Listing Data
  • Mls Status: Closed
  • Originating System Name: RealTracs
  • Special Listing Conditions: Standard
  • Modification Timestamp: Apr 26th, 2025 @ 9:32pm
  • Status Change Timestamp: Apr 26th, 2025 @ 9:31pm
mls grid

MLS Source Origin Disclaimer

The data relating to real estate for sale on this website appears in part through an MLS API system, a voluntary cooperative exchange of property listing data between licensed real estate brokerage firms in which Cribz participates, and is provided by local multiple listing services through a licensing agreement. The originating system name of the MLS provider is shown in the listing information on each listing page. Real estate listings held by brokerage firms other than Cribz contain detailed information about them, including the name of the listing brokers. All information is deemed reliable but not guaranteed and should be independently verified. All properties are subject to prior sale, change, or withdrawal. Neither listing broker(s) nor Cribz shall be responsible for any typographical errors, misinformation, or misprints and shall be held totally harmless.

IDX information is provided exclusively for consumers’ personal non-commercial use, may not be used for any purpose other than to identify prospective properties consumers may be interested in purchasing. The data is deemed reliable but is not guaranteed by MLS GRID, and the use of the MLS GRID Data may be subject to an end user license agreement prescribed by the Member Participant’s applicable MLS, if any, and as amended from time to time.

Based on information submitted to the MLS GRID. All data is obtained from various sources and may not have been verified by broker or MLS GRID. Supplied Open House Information is subject to change without notice. All information should be independently reviewed and verified for accuracy. Properties may or may not be listed by the office/agent presenting the information.

The Digital Millennium Copyright Act of 1998, 17 U.S.C. § 512 (the “DMCA”) provides recourse for copyright owners who believe that material appearing on the Internet infringes their rights under U.S. copyright law. If you believe in good faith that any content or material made available in connection with our website or services infringes your copyright, you (or your agent) may send us a notice requesting that the content or material be removed, or access to it blocked. Notices must be sent in writing by email to the contact page of this website.

The DMCA requires that your notice of alleged copyright infringement include the following information: (1) description of the copyrighted work that is the subject of claimed infringement; (2) description of the alleged infringing content and information sufficient to permit us to locate the content; (3) contact information for you, including your address, telephone number, and email address; (4) a statement by you that you have a good faith belief that the content in the manner complained of is not authorized by the copyright owner, or its agent, or by the operation of any law; (5) a statement by you, signed under penalty of perjury, that the information in the notification is accurate and that you have the authority to enforce the copyrights that are claimed to be infringed; and (6) a physical or electronic signature of the copyright owner or a person authorized to act on the copyright owner’s behalf. Failure to include all of the above information may result in the delay of the processing of your complaint.

Back to top