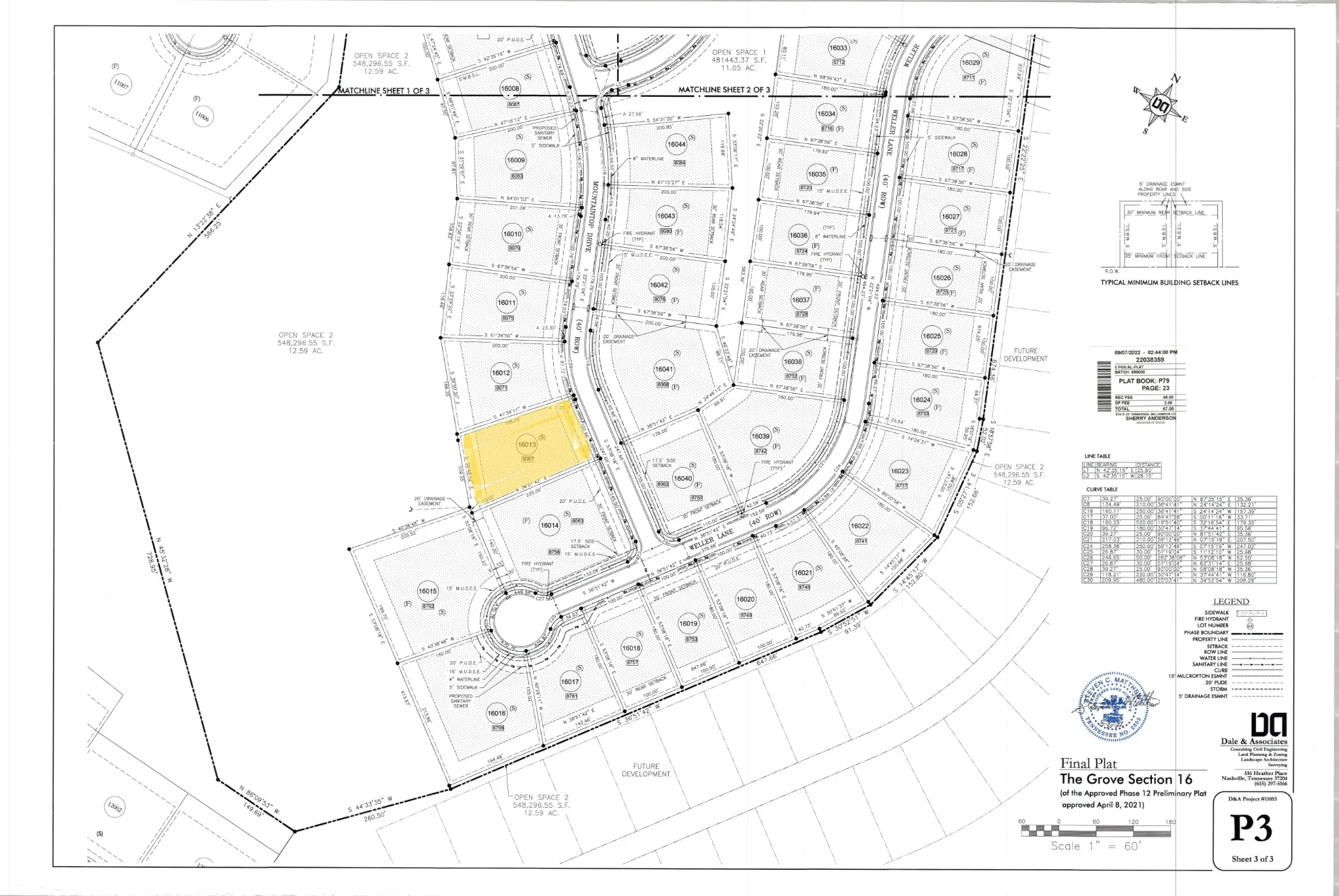
8067 Mountaintop Dr, College Grove, Tennessee 37046

TN, College Grove
$629,000
  • Closed Status
  • 138 Days Off Market Sorry Charlie 🙁
  • Land Property Type
  • 0.58 Acres Lot/Land Size
  • Mortgage Wizard 3000 Advanced Breakdown
Featured Video
Property Description

Private wooded custom homesite at The Grove! Located on the highly desirable Mountaintop Ridge area of the community, this homesite is over a half-acre in size and has tons of private views into a wooded forest. Gently sloped from front to back sets up perfect for a walk-out basement home! Views into the widest part of the forest make this a very private setting to build your dream home along one of the highest ridges in The Grove! Choose from any of the Grove’s premier custom homebuilders to design/build your custom home. Only lot available along the forest on Mountaintop!

Property Details
  • Property Type: Land
  • Listing Type: For Sale
  • MLS #: 2887795
  • Price: $629,000
  • Lot Area: 0.58 Acre
  • Office Name: Grove Realty, LLC
  • Agent Name: Ben Jenkins
  • Listing Status: Closed
Location Info
  • Street Number: 8067
  • Street: Mountaintop Dr
  • City College Grove
  • State TN
  • Zipcode 37046
  • County Williamson County, TN
  • Subdivision The Grove
  • Longitude: W87° 16' 23.5''
  • Latitude: N35° 48' 15.9''
  • Zoning: R1
  • Directions: I65S to SR 840E toward Murfreesboro, take second exit (Exit 37) Arno Road, turn right and The Grove will be on your left. Only 15 minutes from Franklin and the Cool Springs Area!
Features
  • Utilities Water Available
  • Sewer STEP System
Schools
  • Elementary School: College Grove Elementary
  • Middle School: Fred J Page Middle School
  • High School: Fred J Page High School
Additional Info
  • Water Source: Private
  • Association Amenities: Clubhouse,Dog Park,Fitness Center,Gated,Golf Course,Park,Playground,Pool,Sidewalks,Tennis Court(s),Underground Utilities,Trail(s)
  • Current Use: Residential
  • Lot Features: Rolling Slope, Views
  • Lot Size Dimensions: 109 X 225
  • On Market Date: May 19th, 2025
  • Previous Price: $629,000
Financial
  • Association Fee: $262
  • Association Fee Frequency: Monthly
  • Association Fee Includes: Maintenance Grounds
  • Association: Yes
  • Annual Tax Amount: $1,198
Listing Data
  • Co List Agent Full Name: William Rosengarten
  • Co List Office Name: Grove Realty, LLC
  • Mls Status: Closed
  • Originating System Name: RealTracs
  • Special Listing Conditions: Standard
  • Modification Timestamp: Dec 2nd, 2025 @ 6:34pm
  • Status Change Timestamp: Dec 2nd, 2025 @ 6:33pm
mls grid

MLS Source Origin Disclaimer

The data relating to real estate for sale on this website appears in part through an MLS API system, a voluntary cooperative exchange of property listing data between licensed real estate brokerage firms in which Cribz participates, and is provided by local multiple listing services through a licensing agreement. The originating system name of the MLS provider is shown in the listing information on each listing page. Real estate listings held by brokerage firms other than Cribz contain detailed information about them, including the name of the listing brokers. All information is deemed reliable but not guaranteed and should be independently verified. All properties are subject to prior sale, change, or withdrawal. Neither listing broker(s) nor Cribz shall be responsible for any typographical errors, misinformation, or misprints and shall be held totally harmless.

IDX information is provided exclusively for consumers’ personal non-commercial use, may not be used for any purpose other than to identify prospective properties consumers may be interested in purchasing. The data is deemed reliable but is not guaranteed by MLS GRID, and the use of the MLS GRID Data may be subject to an end user license agreement prescribed by the Member Participant’s applicable MLS, if any, and as amended from time to time.

Based on information submitted to the MLS GRID. All data is obtained from various sources and may not have been verified by broker or MLS GRID. Supplied Open House Information is subject to change without notice. All information should be independently reviewed and verified for accuracy. Properties may or may not be listed by the office/agent presenting the information.

The Digital Millennium Copyright Act of 1998, 17 U.S.C. § 512 (the “DMCA”) provides recourse for copyright owners who believe that material appearing on the Internet infringes their rights under U.S. copyright law. If you believe in good faith that any content or material made available in connection with our website or services infringes your copyright, you (or your agent) may send us a notice requesting that the content or material be removed, or access to it blocked. Notices must be sent in writing by email to the contact page of this website.

The DMCA requires that your notice of alleged copyright infringement include the following information: (1) description of the copyrighted work that is the subject of claimed infringement; (2) description of the alleged infringing content and information sufficient to permit us to locate the content; (3) contact information for you, including your address, telephone number, and email address; (4) a statement by you that you have a good faith belief that the content in the manner complained of is not authorized by the copyright owner, or its agent, or by the operation of any law; (5) a statement by you, signed under penalty of perjury, that the information in the notification is accurate and that you have the authority to enforce the copyrights that are claimed to be infringed; and (6) a physical or electronic signature of the copyright owner or a person authorized to act on the copyright owner’s behalf. Failure to include all of the above information may result in the delay of the processing of your complaint.

Back to top