0 Paint Rock Valley Rd Off, Philadelphia, Tennessee 37846

TN, Philadelphia
$50,000
  • Active Status
  • 47 Dayz On Cribz Total Days
  • Land Property Type
  • 5 Acres Lot/Land Size
  • Mortgage Wizard 3000 Advanced Breakdown
Property Description

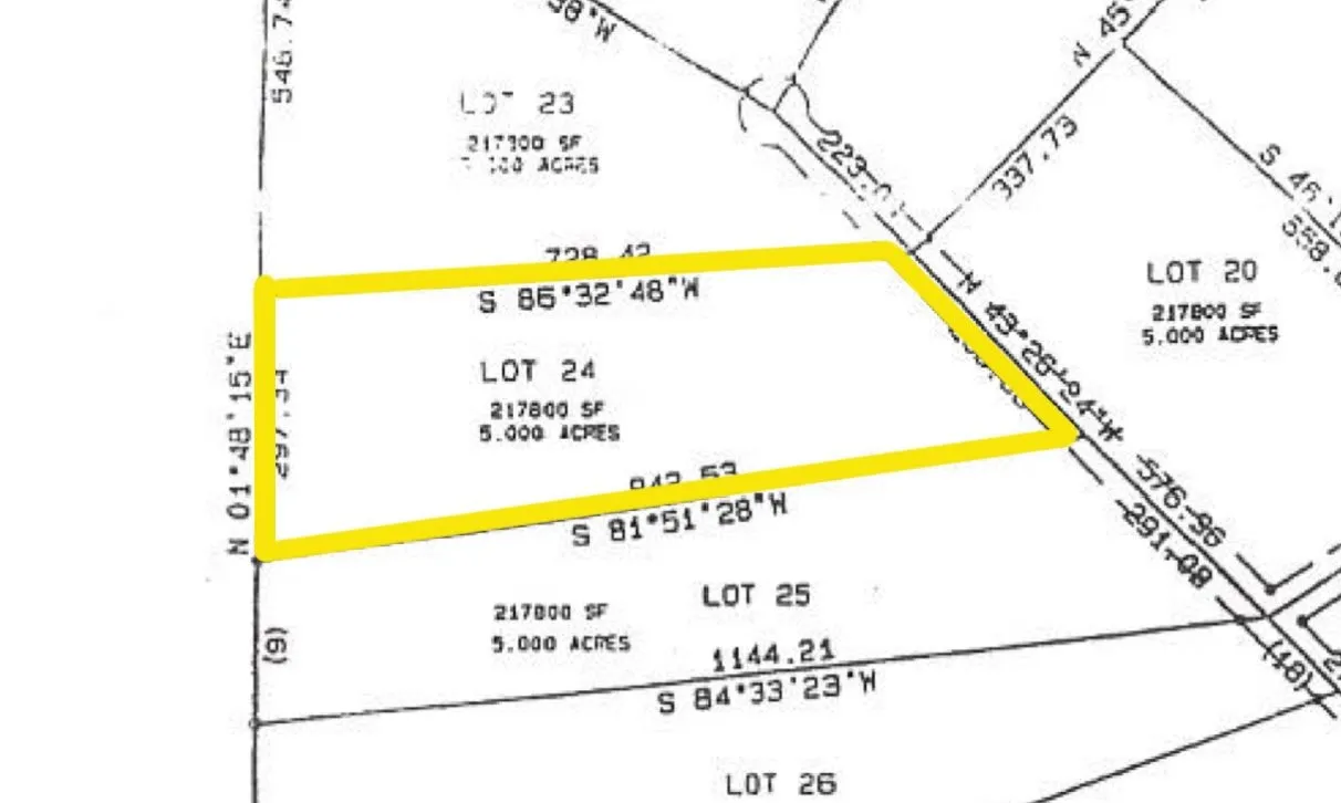
Discover the possibilities with this ~5-acre tract located off Paint Creek Valley Road in Roane County. This rolling parcel offers a peaceful East Tennessee setting with plenty of room to build your dream home with electric available at the road, the property provides a convenient starting point. The terrain gives you multiple potential building sites whether you’re looking to build a primary residence, a weekend getaway, or invest in land in a growing area, this property offers flexibility and opportunity. Located in Roane County, the area is known for its natural beauty, outdoor recreation, and convenient access to nearby cities. The county has a population of about 54,000 residents and a reflecting a stable and growing East Tennessee community. The region also boasts a high homeownership rate of about 77%, highlighting strong demand for housing and land in the area. Property Highlights ~ 5± acres located off Paint Creek Valley Rd, Electric available at the road, Ideal for a single-family residence, rural setting with room to build. Buyer and Buyers agent to verify all information.

Property Details
  • Property Type: Land
  • Listing Type: For Sale
  • MLS #: 3139749
  • Price: $50,000
  • Lot Area: 5 Acre
  • Office Name: Country Living Realty
  • Agent Name: Don Fabrikant
  • Listing Status: Active
Location Info
  • Street: Paint Rock Valley Rd Off
  • City Philadelphia
  • State TN
  • Zipcode 37846
  • County Roane County, TN
  • Subdivision ZAM
  • Longitude: W85° 24' 42.5''
  • Latitude: N35° 39' 50''
  • Zoning: res
  • Directions: Follow I-40 and I-75 to Loudon. Take exit 72 from I-75 28 min (31.2 mi) Continue on TN-72 W. Drive to S Paint Rock Rd/Paint Rock Valley Rd in Roane County. Latitude/Longitude 35.721932°/-84.555369°
Features
  • Sewer None
Schools
  • Elementary School: Midway Elementary
  • Middle School: Midway Middle School
  • High School: Midway High School
Additional Info
  • Water Source: None
  • Current Use: Unimproved
  • Lot Features: Wooded, Rolling Slope, Sloped
  • On Market Date: March 5th, 2026
  • Previous Price: $50,000
Financial
  • Annual Tax Amount: $151
Listing Data
  • Mls Status: Active
  • Originating System Name: RealTracs
  • Special Listing Conditions: Standard
  • Modification Timestamp: Mar 5th, 2026 @ 3:14pm
  • Status Change Timestamp: Mar 5th, 2026 @ 2:41pm
mls grid

MLS Source Origin Disclaimer

The data relating to real estate for sale on this website appears in part through an MLS API system, a voluntary cooperative exchange of property listing data between licensed real estate brokerage firms in which Cribz participates, and is provided by local multiple listing services through a licensing agreement. The originating system name of the MLS provider is shown in the listing information on each listing page. Real estate listings held by brokerage firms other than Cribz contain detailed information about them, including the name of the listing brokers. All information is deemed reliable but not guaranteed and should be independently verified. All properties are subject to prior sale, change, or withdrawal. Neither listing broker(s) nor Cribz shall be responsible for any typographical errors, misinformation, or misprints and shall be held totally harmless.

IDX information is provided exclusively for consumers’ personal non-commercial use, may not be used for any purpose other than to identify prospective properties consumers may be interested in purchasing. The data is deemed reliable but is not guaranteed by MLS GRID, and the use of the MLS GRID Data may be subject to an end user license agreement prescribed by the Member Participant’s applicable MLS, if any, and as amended from time to time.

Based on information submitted to the MLS GRID. All data is obtained from various sources and may not have been verified by broker or MLS GRID. Supplied Open House Information is subject to change without notice. All information should be independently reviewed and verified for accuracy. Properties may or may not be listed by the office/agent presenting the information.

The Digital Millennium Copyright Act of 1998, 17 U.S.C. § 512 (the “DMCA”) provides recourse for copyright owners who believe that material appearing on the Internet infringes their rights under U.S. copyright law. If you believe in good faith that any content or material made available in connection with our website or services infringes your copyright, you (or your agent) may send us a notice requesting that the content or material be removed, or access to it blocked. Notices must be sent in writing by email to the contact page of this website.

The DMCA requires that your notice of alleged copyright infringement include the following information: (1) description of the copyrighted work that is the subject of claimed infringement; (2) description of the alleged infringing content and information sufficient to permit us to locate the content; (3) contact information for you, including your address, telephone number, and email address; (4) a statement by you that you have a good faith belief that the content in the manner complained of is not authorized by the copyright owner, or its agent, or by the operation of any law; (5) a statement by you, signed under penalty of perjury, that the information in the notification is accurate and that you have the authority to enforce the copyrights that are claimed to be infringed; and (6) a physical or electronic signature of the copyright owner or a person authorized to act on the copyright owner’s behalf. Failure to include all of the above information may result in the delay of the processing of your complaint.

Back to top